Blog Hillsdale Still Looking For That Perfect Place in the Neighborhood You Love?

Still Looking For That Perfect Place in the Neighborhood You Love?

By Yascha Noonberg, September 10, 2021

Build Your Dream Home Here


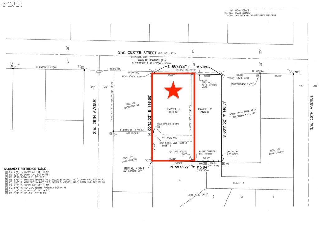
Great opportunity to build your dream home in the heart of Multnomah Village. Approved & permitted plans are included to build the home in the photos or work with an architect to create your own custom home. This large lot is a short walk to all of the great shops of Multnomah Village, several great parks and schools, grocery stores, and Hillsdale!

OFFERED AT $325,000

9,645 sq ft Vacant Lot

MLS# 21125231 | Hayhurst Elementary| Ida B Wells H.S.

 

Yascha Noonberg

Principal Broker | ADU Specialist | OR

He/Him

Consistently featured as one of the Top 50 Brokers in Portland. Certified Residential Investment Specialist "Yascha is absolutely an asset, not only to his clients, but his industry as a whole as an example of how REALTORS® should strive to conduct business." —Past client VISIT MY WEBSITE  I was fortunate enough to move to Portland in the 90s after growing up in Maryland and then attending college in Texas. My professional life started with owning and operating a music school and recording studio in SE Portland. Eventually I was drawn to real estate both as an investor and subsequently as a consultant to homebuyers and sellers as well as fellow real estate investors. My family and I have lived on both sides of the river, and we spend a lot of our down time at the coast in Manzanita. My real estate business and family keep me very busy but whenever possible I get out on the courts to compete in tennis leagues and tournaments, and I recently started playing Pickleball. I also mix in the occasional gig or young audiences performance with local jazz group Trashcan Joe.
Read More
  • T: 503-810-6312
  • F: 503-961-8224
  • yascha@livingroomre.com

You might also enjoy

MT TABOR COTTAGE

Cristen Lincoln

This charming English Cottage, just blocks from Mt. Tabor Park, offers all the appeal of a...

Heart of Hawthorne Craftsman

Cristen Lincoln

Welcome to this classic Craftsman in the heart of Hawthorne, complete with a broad, welcoming front...

ROCKY BUTTE BEAUTY!

Cristen Lincoln

A Sanctuary Among The Trees. Experience the perfect blend of modern comfort, bespoke design, and forested...

Urban Launch Pad with Mid-Term Rentability

Kim Parmon

 Steps from the Pearl and Alphabet District 20 NW 16th Ave. #404, | Portland, OR 97209...